Natural history of Pointfield

An informal survey of the plant and animal life living in or visiting the grounds of Pointfield, Kelso from 2015   

Index to insects other than lepidoptera

home> insects >(alphabetic list of species)

Hymenoptera: bees

Honey bee
Apis mellifera
European dark honey bee
Apis mellifera melifera
Garden bumblebee
Bombus hortensis
White tailed bumblebee
Bombus lucorum
Red tailed bumblebee
Bombus lapidarius
Common carder
Bombus pascuorum
Early bumblebee
Bombus pratorum
Buff-tailed bumblebee
Bombus terrestris
Tree bumblebee
Bombus hypnorum
Bohemian cuckoo bumblebee
Bombus bohemicus
Red mason bee
Osmia bicornis
Leafcutting bee
Megachile willughbiella
Mason bee
Megachile ?versicolor
Banded dark bee
Stelis punctulatissima
Nomad bee
Nomada leucophthalma
Nomad bee
Nomada ?flava
Nomad bee
Nomada ?marshamella
Tawny mining bee
Andrena fulva
Early mining bee
Andrena haemorrhoa
Bicoloured mining bee
Andrena bicolor
Mining bee
Andrena scotica
Mining bee
Andrena sp.
Plasterer bee
Hylaeus sp.
Davies' colletes
Colletes daviesanus

Hymenoptera: Ichneumons

Ichneumonid
Dusona circumspectans
Ichneumon
Netelia inedita
Ichneumonid
Netelia infractor
Ichneumonid
Netelia latungula
Ichneumonid
Netelia tarsata
Ichneumonid
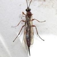
Ophion crassicornis
Ichneumon
Ophion ?scutellaris
Black ichneumon
Polyblastus westringi
Ichneumon
Syrphoctonus sp.
Ichneumon
Genus undet.
Black slip ichneumon
Pimpla rufipes
Ephialtine ichneumon
Dolichomitus complex
Black and red bodied ichneumon
Ichneumonidae indet.
Black-bodied ichneumon
Ichneumonidae indet.
Black-bodied ichneumon indet.
Indet. gen. et sp.
Ichneumon
Ichneumon ?suspiciousus
Black-and-red-bodied ichneumon
Ichneumonidae indet.
white-ring eyed ichneumon
?Tromatobia lineatoria
Black-bodied ichneumon
Ichneumonidae indet.
Braconid indet.
Indet. gen. et sp.
Braconid wasp
Braconidae gen. indet.
Cocoon of braconid wasp
Braconidae indet.

Hymenoptera: Wasps

Wasp, common
Vespula vulgaris
Wasp, german
Vespula germanica
Mason wasp
Ancistrocerus gazella
Mason wasp
Ancistrocerus scoticus
Blunt-tailed digger wasp
Crossocerus dimidiatus
Digger wasp
Stigmus sp.
Mournful wasp
Pemphredon lugubris
Ruby-tailed wasp
Chrysis ignita

Hymenoptera: Sawflies

Nematin sawfly
Nematus lucidus
Solomons-seal sawfly
Phymatoceras aterrima
tenthredid sawfly
Tenthredo livida
Yellow and black sawfly
Tenthredo maculata
Tenthredid sawfly
Tenthredo notha
Tenthredid sawfly
Tenthredo notha
Tenthredid sawfly
?Tenthredo sp.
Turnip sawfly
Athalia rosae
Ringed tigress sawfly
Athalia circularis

Hymenoptera: Ants

Black garden ant
Lasius niger

Hymenoptera: Tracks and cysts

Apple sawfly (track)
Hoplocampa testudinea
Robin's pincushion
Dipoloepis rosae
Knopper oak gall wasp
Andricus quercuscalicis
Silk-button gall wasp
Neuroterus numismalis
Spangle gall wasp cyst
Neuroterus quercusbaccarum